5 Deeps

Victor Vescovo dives the Kermadec Trench (South Pacific), successfully completing dives to all four of the South Pacific’s deepest trenches for the first time, and the first person to dive all four of the world’s 10,000-meter trenches.

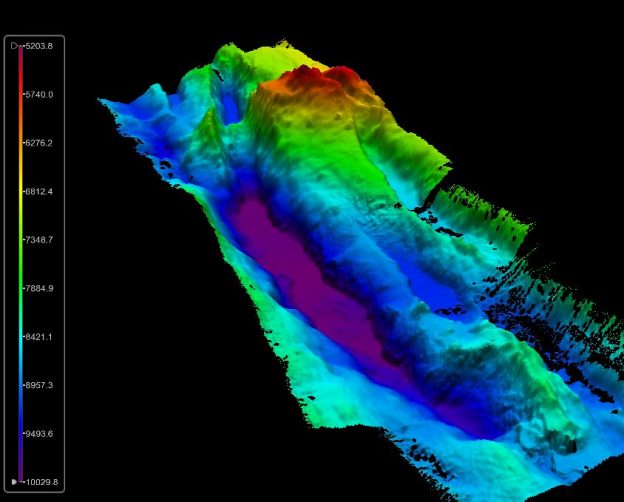
Caladan Oceanic, led by explorer Victor Vescovo, along with expedition partners EYOS Expeditions, Triton Submarines, and Greenroom Robotics, successfully dived to the deepest point of the Kermadec Trench in the South Pacific Ocean on December 11th at a preliminary, calculated depth of 10,003 meters (+/- 4 meters). It is the fourth-deepest ocean trench in the world and this was the first time a human had ever dived to its deepest point. The completion of this dive sets a new world record for Vescovo, having now completed dives to all four of the world’s 10,000-meter trenches – the Mariana, Tonga, Philippine and Kermadec trenches.

The Kermadec Trench was the final dive in the South Pacific leg of the Ring of Fire 2021 diving expedition, which has also included the first ever human recents to the bottom of the San Cristobal (8,483 meters), Santa Cruz (9,142 meters) and New Hebrides (7,794 meters) trenches. All dives were exploratory, mapping, and hardware-testing in nature and did not retrieve any water, soil, or life samples in accordance with local rules. No marine science personnel were aboard the vessel at any time.

Victor Vescovo said upon his returning from the deep: “I am so happy to have had the opportunity to dive the Kermadec Trench. It is one of Earth’s only four 10,000-plus meter trenches, and with this dive, I am so pleased to have been able to pilot the Limiting Factor submersible to all of them. I’m very proud of the team at Triton that designed, built, and perfected this craft which gives up access to any place on the seafloor at any time, repeatedly and safely. It is the only commercially-certified submersible capable of such extreme dives and is an amazing tool for scientific research. It was also great to work with EYOS Expeditions and Greenroom Robotics who provided logistical and technical support for the expedition.”

Kermadec-Trench-B-624x502